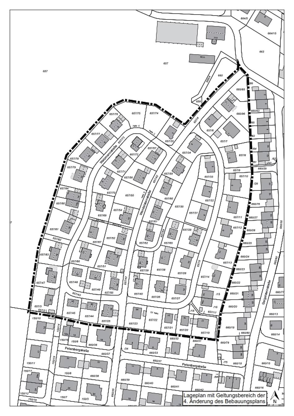
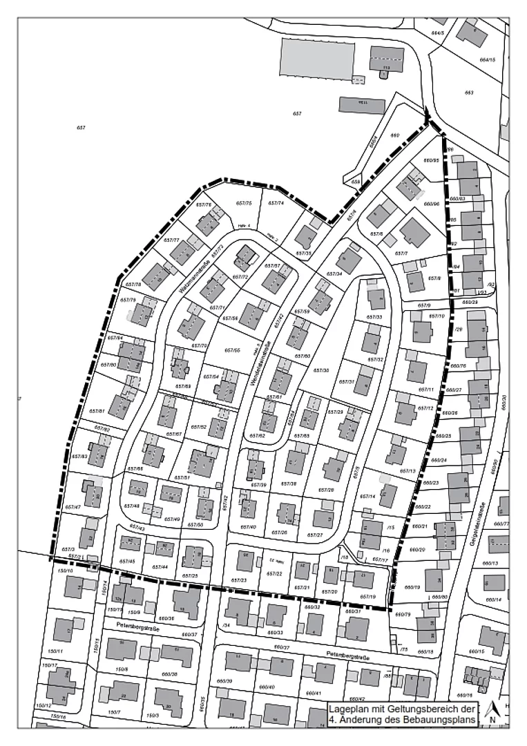
Änderung des Bebauungsplans „Pfaffing-West 4“

Bekanntmachung über die 4. Änderung des Bebauungsplans
Der Gemeinderat Pfaffing hat am 30.07.2024 die 4. Änderung des Bebauungsplans „Pfaffing-West 4“ beschlossen.
Mit Bekanntmachung tritt die Änderung in Kraft. Die Bekanntmachung sowie die 4. Änderung des Bebauungsplans „Pfaffing-West 4" samt Begründung ist unter folgender Adresse einsehbar: